
There are several texts below in this news section:
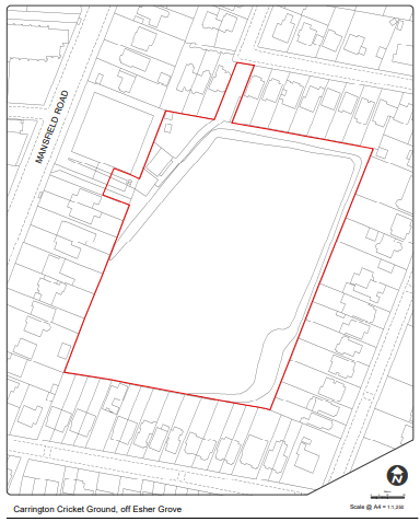
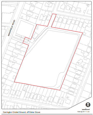
- From Mike Reade (MPRA Commitee): A Notice has been issued by Nottingham City Council (NCC) for the disposal of its freehold interest in Carrington Sports Ground. The sales agency website: https://www.nottinghampropertyplus.co.uk/#consultations has a site plan showing the boundary of the property. Given the ground is part of the Mapperley Park and Alexandra Park Conservation Area, MPRA are of course concerned regarding the sale of the land from our Council to a non-council organisation.We have been in contact with NCC and have received assurance from a NCC Estates Surveyor – Strategic Assets & Property, Growth and City Development Department that ‘The council are not looking to see it redeveloped for housing or used for anything other than its current use as a cricket ground’. However, as the Notice does advise ‘Any person wishing to comment on the intended disposal should do so in writing…’, (by the 5th November 5pm) the MPRA committee will be submitting comments on Mapperley Park Residents behalf. Furthermore, we have been in contact with the NCC Planning Department and, in consultation with a Principal Planning Officer, Growth and City Development, Planning Regeneration and Housing Department, we have drawn up the following list of Nottingham City, Land and Planning Policies, Development Plan Document, Local Plan Part 2 (available at https://www.nottinghamcity.gov.uk/…/the-adopted-local…/) relevant policies which our comments will refer to:DE1: Building Design and Use. Page 101.HE1: Heritage Assets. Page 113.EN3: Playing Fields. Page 145.EN1: Development of Open Space. Page 142.In addition, our Mapperley Park and Alexandra Park Conservation Area, Character Appraisal and Management Plan and was compiled between 2005 and 2007 and included extensive public consultation (available at http://www.nottinghaminsight.org.uk/d/96136). This document refers to the cricket ground as playing fields and as police training grounds in several instances but most importantly, it refers to the unanimous support by the public for the grounds to remain as an open space: page 42 item 15, 15.1 and 15.2. Please remember, that we have been advised that it is NOT the intention of NCC to sell the land for any purpose other than to ensure the continued use of the property as a cricket ground with associated pavilion. We are not likely to be party to the particulars of the Freehold contract and therefore we must rely on NCC to ensure that suitable legal wording be used in the agreement ensuring the long-term retention of the grounds and pavilion as community assets and open space for the benefit of the people of Nottingham. Comments on the disposal of the pavilion and grounds can be made in writing to C/o Property Plus, Nottingham City Council, Loxley House, Station Street, Nottingham NG2 3NG or by email to Property.Plus@Nottinghamcity.gov.uk or you can contact our Local Councillors, their details are available at https://nottinghamcity.gov.uk/…/council…/mapperley/.
2. Please find below, the council’s intention of sale notice and a summary from a Q&A session between a resident and a Nottingham Property Services employee, who have asked the resident involved to share this. (Submitted by residents.)
3. “A View from the Terrace” as seen from Esher Grove.
“The view of the Sports Ground from our terrace has not changed a great deal during the last 100 years although there were times when it might well have done, but more about that later…” (Written in 2016 by Michael Smith)
4. Written by John Lamont and published in 2018 – From the MPRA Newsletter 2018 (Page 5 in the reader).

